正文内容区域请使用tab按钮切换浏览
上海市普陀区人民政府关于同意泰来坊地块旧城区改建房屋征收范围的批复
索引号:
SY0024421600201900036
主题分类:
城乡建设、环境保护
公开属性:
主动公开
成文日期:
2019年03月01日
发文字号:
普府〔2019〕19号
发布日期:
2019年03月07日
公开主体:
上海市普陀区人民政府
上海市普陀区旧区改造工作领导小组办公室:
你单位《关于申请确认泰来坊地块旧城区改建房屋征收范围的请示》(普旧改办〔2019〕2号)已收悉。经研究批复如下:
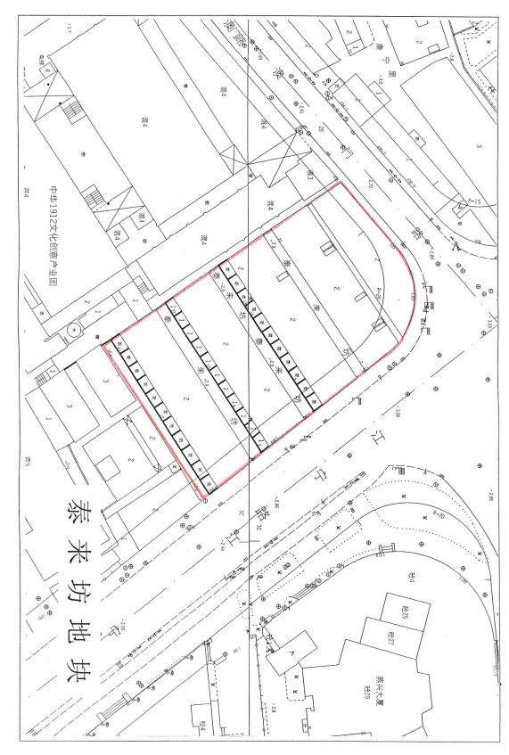
一、原则同意泰来坊地块列入我区旧城区改建范围。泰来坊地块房屋征收四至范围为:东至江宁路,南至江宁路1325号,西至中华印刷厂,北至澳门路。(见附图)。
二、在启动改建前,按照《上海市国有土地上房屋征收与补偿实施细则》有关规定,组织开展居民意愿征询和房屋征收补偿方案征询,在被征收人、公有房屋承租人同意旧城区改建和签订附生效条件的补偿协议达到规定的比例后,方可实施改建工作。
三、征收完成后,征收范围内50年以上历史建筑,应按相关程序进行风貌评估和认定,并根据规划和保留保护要求妥善处置。
特此批复,请抓紧组织实施。
上海市普陀区人民政府
2019年3月1日

分享:
我要留言